Isthmus Properties project

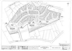
McKinney Valley Subdivision

Warkworth, NZ

 

This property was identified by Isthmus as a good joint venture opportunity to subdivide and develop a large rural block on the outskirts of Warkworth (north of Auckland).

The purchase was negotiated and the property put under due diligence by Isthmus.   During due diligence joint venture partners were canvassed with the result that the purchase contract was taken over by another party with Isthmus retaining a profit share.

Isthmus agreed to project manage the subdivision consent process for the client.  This included development of the subdivision plan and resolution of infrastructure solutions for roading linkages, sewage, stormwater, power & telephone.  Infrastructure and earthworks solutions also had to also be compatible with potential future development by adjoining land owners.   This involved numerous negotiations with Council, Auckland Regional Council, adjoining Land Owners and Transit over a 20 month period.  

This process resulted in a Resource Consent being successfully obtained for an out of zone subdivision.

With a Resource Consent obtained and bulk earthworks contracts in place, Isthmus then profitably on sold the project on behalf of its client.  A specialist residential developer purchased the property and saw the project through the physical construction of the roading and infrastructure. Stage 1 titles issued in late 2009 and development of the precinct is ongoing.